Watch Hurricanes Live: NOAA Satellite Feed Guide

D.Blinkink 12 views
Watch Hurricanes Live: NOAA Satellite Feed Guide

Watch Hurricanes Live: NOAA Satellite Feed Guide

Hey guys! Ever been glued to your screen during hurricane season, watching those swirling monsters on satellite? It’s pretty intense, right? Well, if you’re like me and fascinated (and maybe a little freaked out) by hurricanes, you’ve probably spent some time checking out the NOAA Hurricane Center Satellite live feed. It’s an incredible resource, offering real-time views of these powerful storms as they churn across the ocean. In this guide, we’re going to break down everything you need to know about the NOAA satellite feed, how to use it, and why it’s such an important tool for meteorologists and everyday folks alike. Buckle up, because we’re diving deep into the world of hurricanes and satellite imagery!

What is the NOAA Hurricane Center?

So, what exactly is the NOAA Hurricane Center , and why should you care? The National Hurricane Center (NHC) is a part of the National Oceanic and Atmospheric Administration (NOAA), which is a U.S. government agency. The NHC’s main job is to monitor and predict the formation, movement, and intensity of tropical cyclones – that’s hurricanes, typhoons, and cyclones – in the Atlantic and Eastern Pacific basins. They’re the guys (and gals!) who issue those crucial warnings and advisories that we rely on to stay safe during a storm. They are using their advanced technology to keep people aware and safe. They’re constantly tracking these storms, analyzing data from satellites, aircraft, and surface observations, and running sophisticated computer models to forecast their future behavior.

One of the most valuable tools at the NHC’s disposal is its access to satellite imagery. Satellites equipped with advanced sensors capture a wealth of information about a hurricane, including its cloud structure, wind speed, rainfall intensity, and sea surface temperatures. This data is absolutely essential for understanding a storm’s current state and predicting its future development. Without these satellite observations, predicting the path of a hurricane would be like trying to navigate a maze blindfolded. That’s why the NOAA Hurricane Center Satellite live feed is so important. This feed provides continuous access to this critical data, allowing meteorologists, emergency managers, and the public to monitor hurricanes in real-time. It’s like having a front-row seat to the action, 24 7 !

The Importance of Satellite Imagery

Satellite imagery is the cornerstone of hurricane monitoring. It offers a unique perspective on these storms that ground-based observations simply can’t provide. Here’s why it’s so important:

  • Wide-Area Coverage: Satellites can see the entire storm system, even over vast stretches of ocean where there are no other observations available.
  • Real-time Monitoring: The NOAA Hurricane Center Satellite live feed provides continuous updates, allowing for real-time tracking of a storm’s movement and intensity.
  • Cloud Structure Analysis: Satellite images reveal the structure of the clouds, which can indicate the storm’s intensity and potential for strengthening or weakening.
  • Sea Surface Temperature (SST) Measurement: Warm ocean waters are the fuel for hurricanes. Satellites can measure SST, helping to determine if a storm has enough energy to maintain itself.
  • Wind Speed Estimation: Advanced satellite instruments can estimate wind speeds within the storm, providing valuable information for forecasting.

So, basically, satellite imagery is like the eyes of the NHC. It allows them to see everything happening with a hurricane, from its formation to its dissipation. The data they collect helps them to issue accurate warnings and protect lives and property.

How to Access the NOAA Satellite Feed

Alright, so you’re probably wondering how to get in on the action and access the NOAA Hurricane Center Satellite live feed yourself. Good news: it’s pretty easy! NOAA provides several ways to view satellite imagery, each offering different levels of detail and interactivity. Here’s a breakdown of the most common methods:

NOAA Websites

The primary source for satellite imagery is the NOAA website. The NHC website, in particular, offers a wealth of information, including:

  • Satellite Images: You can find a variety of satellite images, including visible, infrared, and water vapor imagery. Visible images show what the storm looks like from space, while infrared images show cloud-top temperatures, which can indicate the storm’s intensity. Water vapor imagery reveals the distribution of moisture in the atmosphere, which is another important factor in hurricane development.
  • Looping Animations: NOAA provides looping animations that show how a storm is evolving over time. These animations are a great way to visualize the storm’s movement and changes in intensity.
  • Interactive Maps: Some NOAA websites offer interactive maps that allow you to zoom in on specific areas and view detailed satellite data. These maps often include additional information, such as wind speeds, rainfall amounts, and storm tracks.

Third-Party Weather Websites and Apps

Many third-party weather websites and apps also provide access to NOAA satellite imagery. These platforms often offer user-friendly interfaces and additional features, such as:

  • Customizable Views: You can usually customize the view to focus on the specific region you’re interested in.
  • Advanced Features: Some apps offer advanced features like storm tracking, wind speed overlays, and rainfall predictions.
  • Push Notifications: Many apps send push notifications to alert you of any changes in the storm’s status.

Other Resources

Besides the main NOAA websites and third-party apps, other resources offer access to the NOAA Hurricane Center Satellite live feed. You can also find satellite imagery on social media platforms and weather blogs. However, it’s always best to rely on official sources like NOAA for the most accurate and up-to-date information.

Understanding Satellite Imagery

Okay, so you’ve accessed the NOAA Hurricane Center Satellite live feed. Now what? Understanding what you’re seeing in the satellite images is key to making sense of the data. Here’s a quick guide to interpreting some common types of satellite imagery:

Visible Imagery

Visible imagery is like looking at the storm with your own eyes, but from space! It uses reflected sunlight to show cloud patterns, much like a photograph. Things to look for:

  • Cloud Structure: The shape and organization of the clouds can tell you a lot about the storm’s intensity. A well-defined eye and tightly wound spiral bands are signs of a strong hurricane.
  • Eye of the Storm: The eye is the calm center of the hurricane. It usually appears as a clear, circular area in visible imagery.
  • Spiral Bands: These are the bands of thunderstorms that spiral around the eye. They can provide clues about the storm’s intensity and movement.

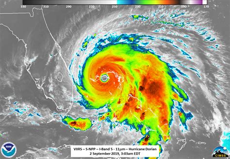
Infrared Imagery

Infrared imagery measures the temperature of the cloud tops. Colder cloud tops indicate higher clouds and more intense thunderstorms. Things to look for:

  • Cloud Top Temperature: The colder the cloud tops, the stronger the storm’s thunderstorms. Different colors are usually used to represent different temperatures, with colder temperatures shown in brighter colors.
  • Eye Wall: The eye wall is the ring of thunderstorms that surrounds the eye. It usually has the coldest cloud-top temperatures and is the location of the strongest winds.
  • Storm Intensity: By looking at the cloud-top temperatures, you can get a good idea of the storm’s intensity and potential for strengthening or weakening.

Water Vapor Imagery

Water vapor imagery shows the distribution of moisture in the atmosphere. This is important because moisture is the fuel for hurricanes. Things to look for:

  • Moisture Patterns: The patterns of moisture can indicate areas where storms are likely to develop or strengthen.
  • Storm Environment: Water vapor imagery can show the environment surrounding the storm, which can affect its development and movement.
  • Upper-Level Winds: The patterns of moisture can also reveal the direction of upper-level winds, which can steer the storm.

Using the NOAA Satellite Feed Responsibly

Accessing the NOAA Hurricane Center Satellite live feed is an exciting way to monitor hurricanes, but it’s important to use the information responsibly. Here are some key things to keep in mind:

Don’t Panic

Hurricanes are serious, but don’t let the visual data overwhelm you. It’s easy to get caught up in the drama, but remember that the NHC is providing the official warnings and information. Don’t make assumptions or overreact based on what you see in the images.

Check Official Sources

Always rely on official sources like the NHC for the most accurate and up-to-date information. While the satellite feed is valuable, it’s not a replacement for the expert analysis and warnings issued by meteorologists.

Understand the Limitations

Satellite imagery is an incredibly useful tool, but it has limitations. It doesn’t tell the whole story. For instance, the exact wind speeds at ground level can be difficult to measure, and the images can sometimes be obscured by clouds. Always consider the data in context and don’t rely solely on satellite imagery for decision-making.

Stay Informed and Prepared

Use the NOAA Hurricane Center Satellite live feed to stay informed about hurricanes, but also use it as a tool to prepare. Learn about hurricane safety, create an emergency plan, and have supplies ready in case a storm threatens your area. Early preparation is key to staying safe.

Conclusion: Stay Safe, Stay Informed

So, there you have it, guys! The NOAA Hurricane Center Satellite live feed is an invaluable resource for anyone interested in monitoring hurricanes. It offers a unique perspective on these powerful storms and helps meteorologists and the public alike stay informed and prepared. Remember to use the information responsibly, always check official sources, and stay informed about hurricane safety. With the right knowledge and preparation, you can weather any storm. Stay safe out there!