Typhoons Near Me: Tracking Tropical Cyclones

D.Blinkink 112 views
Typhoons Near Me: Tracking Tropical Cyclones

Typhoons Near Me: Tracking Tropical Cyclones

Hey guys, ever get that uneasy feeling when the weather gets wild and you start wondering, “Are there any typhoons near me right now?” It’s totally normal to be concerned, especially if you live in a region prone to these massive storms. Tropical cyclones, or typhoons as they’re known in the Northwest Pacific, are some of the most powerful weather phenomena on Earth. They can bring devastating winds, torrential rain, and dangerous storm surges that can wreak havoc on coastal communities. So, staying informed is absolutely crucial. This article is all about helping you understand how to track typhoons, what to look out for, and how to stay safe when one is heading your way. We’ll dive into the science behind these storms, where to find reliable information, and what steps you can take to prepare. Remember, knowledge is power, and when it comes to typhoons, being prepared can make all the difference.

Understanding Typhoons: What Are They, Anyway?

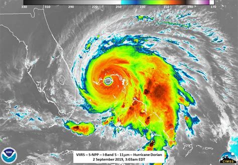
So, let’s break down what exactly a typhoon is, because it’s not just a fancy word for a hurricane. Technically, typhoons are tropical cyclones that form over the warm waters of the Northwest Pacific Ocean. You might hear them called hurricanes in the Atlantic and Northeast Pacific, or cyclones in the South Pacific and Indian Ocean. It’s all the same type of storm, just with different regional names. These storms are born over tropical or subtropical waters when warm, moist air rises and cools, forming clouds and thunderstorms. As more air rises, it creates an area of low pressure. Then, the surrounding air rushes in to fill the void, and due to the Earth’s rotation (the Coriolis effect, for all you science buffs!), this inflowing air starts to spin. If the conditions are right – warm sea surface temperatures (at least 26.5°C or 80°F), low wind shear, and enough moisture – this spinning system can intensify, grow larger, and become a tropical depression, then a tropical storm, and finally, if sustained wind speeds reach 74 miles per hour or higher, a typhoon. The eye of the storm, the calm center, forms as air sinks in the middle. Surrounding the eye is the eyewall, where the storm’s most intense winds and heaviest rainfall occur. The rainbands, spiraling outwards, also bring significant weather. Understanding these basic components helps us appreciate the sheer power and complexity of a typhoon. It’s a colossal heat engine fueled by the ocean, and its impact can be widespread and destructive. Keeping an eye on their formation and track is essential for preparedness.

How to Track Typhoons Near You: Reliable Resources

Now, the million-dollar question: how do you track typhoons near you ? Luckily, in this day and age, we have access to some incredible tools and resources that make it easier than ever. The most crucial thing is to rely on official meteorological agencies. For example, if you’re in the Philippines, the Philippine Atmospheric, Geophysical and Astronomical Services Administration (PAGASA) is your go-to. In Japan, it’s the Japan Meteorological Agency (JMA). For broader international tracking, the U.S. Navy’s Naval Research Laboratory (NRL) and the U.S. National Hurricane Center (NHC) – even though they focus on hurricanes – often provide data and imagery for typhoons as well. Websites and apps like Windy.com, Zoom Earth, and AccuWeather are fantastic for visualizing storm paths, wind speeds, and precipitation forecasts. These platforms often use data from multiple sources, giving you a comprehensive overview. Look for information on the typhoon’s current location, its predicted track (the most probable path), its intensity (categorized by wind speed, similar to the Saffir-Simpson scale used for hurricanes), and its size. Pay attention to the projected landfall time and location – this is critical for evacuation and preparation. Many of these resources also provide real-time satellite imagery and radar data, which can give you a visual sense of the storm’s structure and movement. Don’t just rely on one source; cross-reference information to get the most accurate picture. Remember, staying updated frequently is key, as typhoon tracks can change. Bookmark these sites or download the apps now, so you’re ready when you need them!

Official Meteorological Agencies: Your Best Bet

When it comes to tracking typhoons near me , official meteorological agencies are your absolute best friends, guys. These are the government bodies tasked with monitoring weather, and they have the most accurate and up-to-date information. Think of them as the ultimate authority. For instance, in the Philippines, which is frequently hit by typhoons, PAGASA (Philippine Atmospheric, Geophysical and Astronomical Services Administration) is the primary source. They issue tropical cyclone warnings, provide forecasts, and give crucial advisories. They’ll tell you if a storm is a Tropical Depression, Tropical Storm, Typhoon, or Super Typhoon, and what areas are under specific warning signals. Similarly, the Japan Meteorological Agency (JMA) is responsible for the Northwest Pacific region. They issue warnings and forecasts that are vital for Japan and surrounding countries. Other countries in the region will have their own national meteorological services, and these are the agencies you should be following. Why are they the best bet? Because they use sophisticated weather models, have access to direct data from weather buoys, satellites, and reconnaissance aircraft, and their warnings are often tied to public safety actions, like school closures or evacuation orders. Relying on these official sources ensures you’re getting information vetted by experts, reducing the risk of misinformation or panic from less credible sources. It’s always wise to know which agency is responsible for your specific region and to follow their official channels, whether it’s their website, social media, or emergency alert systems.

Utilizing Weather Apps and Websites

Beyond the official agencies, tracking typhoons also heavily involves using advanced weather apps and websites. These platforms take the raw data from meteorological services and present it in a user-friendly, often visual, format. Tools like Windy.com are incredibly popular because they offer a wide range of weather overlays, including wind speed, gusts, precipitation, and pressure, all visualized on an interactive map. You can literally see the storm’s path projected days in advance. Zoom Earth is another excellent resource, providing near real-time satellite imagery and tracking capabilities for various weather events, including typhoons. For those who prefer a more traditional forecast, sites like AccuWeather or The Weather Channel also offer detailed typhoon tracking information, often with hourly updates for affected areas. What makes these tools so valuable? They often aggregate data from multiple international weather models, allowing you to see different potential storm tracks and intensities. This can give you a more nuanced understanding of the potential threats. Look for features that show the ‘cone of uncertainty’ – this is the area where the storm might go, highlighting that forecasts aren’t exact. Many apps also offer push notifications for watches and warnings, ensuring you don’t miss critical updates. Learning to navigate these apps and websites might seem a bit technical at first, but they are powerful allies in staying informed and prepared. They empower you to see the bigger picture and understand the potential impact on your specific location.

Understanding Typhoon Intensity Scales

When we talk about typhoons, you’ll often hear terms like Category 1, 2, 3, and so on, or different classifications based on wind speed. Understanding these typhoon intensity scales is super important for gauging the potential danger. While the most famous scale is the Saffir-Simpson Hurricane Wind Scale (used in the Atlantic and Northeast Pacific), the Northwest Pacific uses a similar, though slightly different, classification system managed by agencies like the JMA and PAGASA. Generally, storms are categorized based on their maximum sustained wind speeds. For example, a typhoon might be classified as:

  • Tropical Depression: Winds up to 38 mph (62 km/h).
  • Tropical Storm: Winds from 39 to 73 mph (63 to 118 km/h). This is often when a storm gets its name.
  • Typhoon: Winds from 74 to 95 mph (119 to 153 km/h).
  • Strong Typhoon: Winds from 96 to 112 mph (154 to 184 km/h).
  • Super Typhoon: Winds 113 mph (185 km/h) and above.

Agencies like PAGASA also use public storm warning signals (e.g., Signal No. 1, 2, 3, 4, 5 in the Philippines) which correspond to different wind speed ranges and potential impacts on specific areas. A higher signal means stronger winds are expected and more severe impacts are likely. Super Typhoons are particularly devastating, packing winds comparable to some of the strongest tornadoes, and they can cause catastrophic damage. Knowing the category or signal level helps you understand the severity of the threat and what kind of preparations are necessary. A Tropical Storm might cause localized flooding and strong winds, while a Super Typhoon can flatten entire communities. Always check the latest intensity classification from official sources to assess the risk accurately.

Preparing for a Typhoon: What You Need to Do

Okay, so you’ve been tracking the typhoon, and it looks like it’s heading your way. Now what? Preparing for a typhoon is not something you should do at the last minute, guys. It requires planning and action before the storm even gets close. The first step is to have a disaster preparedness kit ready. This should include essentials like bottled water, non-perishable food, a first-aid kit, flashlights with extra batteries, a battery-powered or hand-crank radio, medications, and personal hygiene items. Think enough for at least 3 days. Next, secure your home. This means boarding up windows and doors with plywood, especially if you live in a low-lying or coastal area. Trim trees and remove any loose outdoor items like garden furniture, trash cans, or decorations that could become dangerous projectiles in high winds. If you live in an area prone to flooding or storm surge, know your evacuation routes and have a plan for where you will go. This could be a designated public shelter or a friend’s or relative’s house in a safer location. Importantly, stay tuned to official warnings and advisories. Authorities will issue evacuation orders if necessary, and it’s crucial to heed them promptly. Don’t wait until the last moment; getting out early can save your life. Finally, have a communication plan for your family. Designate an out-of-state contact person whom everyone can check in with if local communication lines are down. Discuss meeting points if you get separated. Being prepared is about taking proactive steps to protect yourself, your loved ones, and your property. It turns fear into action.

Creating a Typhoon Preparedness Kit

When we talk about getting ready for a typhoon, one of the most critical steps is creating a typhoon preparedness kit . Think of this as your survival pack. It’s your emergency stash of essential items that will help you and your family get through the storm and its immediate aftermath, especially if power is out or you’re unable to leave your home for a few days. So, what goes in it? First and foremost, water. You’ll need at least one gallon per person per day for several days. Next up is food: non-perishable items like canned goods (beans, soup, tuna), energy bars, dried fruit, and peanut butter. Don’t forget a manual can opener! A comprehensive first-aid kit is a must, including bandages, antiseptic wipes, pain relievers, and any personal prescription medications (with a week’s supply if possible). Power is going to be a big issue, so pack flashlights with plenty of extra batteries, and consider a hand-crank or battery-powered radio to stay updated on official information. Other essentials include a whistle to signal for help, dust masks to help filter contaminated air, moist towelettes, garbage bags and plastic ties for sanitation, a wrench or pliers to turn off utilities if instructed, and a local map. Don’t forget copies of important documents like identification, insurance policies, and bank records, stored in a waterproof bag. And if you have pets, include food, water, leashes, and carriers for them too. Keeping this kit in an easily accessible place, like a sturdy bag or plastic bin, ensures you can grab it quickly if you need to evacuate or shelter in place. Regularly check and update your kit, replacing expired items and adjusting for family needs.

Securing Your Home Against High Winds and Rain

Beyond your kit, securing your home against high winds and rain is absolutely vital when a typhoon is approaching. High winds are the big culprits for damage, turning loose objects into dangerous projectiles and ripping apart structures. Start by inspecting your home’s exterior. Make sure all windows and doors are sturdy. If you have storm shutters, install them. If not, you’ll want to board up windows and glass doors with 5 8 -inch exterior-grade plywood, cut to fit and securely fastened with screws. Don’t just nail them; screws are much more effective. Sliding glass doors are particularly vulnerable, so reinforce them with an ‘X’ pattern of tape on the glass (this is more to prevent shattering than structural integrity, but it helps) and secure them with extra locks or bracing. Garage doors are also a weak point; many manufacturers offer bracing kits for them. Don’t forget to secure anything outside that could become a missile. This includes trash cans, patio furniture, grills, bicycles, and garden tools. Bring them all inside or tie them down securely. Check your roof for any loose shingles or tiles and make repairs if possible. Clear your gutters and downspouts to ensure proper drainage and prevent water from backing up around your foundation. If you have a generator, make sure it’s in good working order and positioned safely away from windows and doors to prevent carbon monoxide poisoning. If you live in an area that might experience power outages, consider filling bathtubs and sinks with water before the storm hits, as this stored water can be useful for flushing toilets or washing if the main supply is cut off. Taking these steps can significantly reduce the potential for damage to your property and keep your family safer inside.

Evacuation Plans and Shelters

Sometimes, the best way to stay safe during a typhoon is to leave. Evacuation plans and shelters are critical components of typhoon preparedness, especially for those living in high-risk areas like coastal zones or flood-prone regions. First, you need to know if your area is designated as an evacuation zone. Local government agencies usually provide maps and information on this. If you are in an evacuation zone, you must have a plan. This involves deciding where you will go. It could be a designated public storm shelter, a friend’s house in a safer inland location, or a hotel outside the potential impact zone. Don’t wait for an official evacuation order to make this decision; have it ready beforehand. Map out your evacuation route, and have a backup route in case your primary one becomes blocked by flooding or debris. When an evacuation order is issued, leave immediately . Don’t try to ride out the storm. It’s not worth the risk. If you are heading to a public shelter, find out what they provide and what you need to bring. Shelters typically offer a safe place to stay and basic necessities, but they may not have beds, so bringing sleeping bags or blankets is a good idea. They also often have rules about what you can bring, especially regarding pets – so check this in advance. Always have your disaster preparedness kit with you when you evacuate. Remember, the goal is to get to safety before the worst of the storm hits. Roads can become impassable quickly, and emergency services may not be able to reach you during the peak of the typhoon. Your life is more important than your belongings.

Staying Safe During and After a Typhoon

When the typhoon is battering your home, the key is to stay safe during and after a typhoon . While sheltering in place, stay inside and away from windows and doors. Keep your family together and monitor official news and weather updates via your battery-powered radio or charged mobile devices. Avoid unnecessary risks. Don’t go outside to check on damage during the storm, even if it seems to be quieting down; the eye of the storm can pass over, followed by a second wall of even stronger winds. Once the all-clear is given by authorities, then you can cautiously assess the situation. Be aware of hazards like downed power lines – treat them as live and stay far away. Avoid driving or walking through floodwaters, as they can be deeper than they appear and may conceal dangerous debris or live electrical wires. Check your home for structural damage, gas leaks (if you smell gas, turn off the main valve if you know how and leave the building immediately), or electrical problems before using appliances. Be cautious when opening doors and windows, as there might still be debris flying around. Continue to listen to authorities for information on returning home if you evacuated, or for any ongoing hazards in your area. Remember, the aftermath of a typhoon can be just as dangerous as the storm itself. Patience and caution are your best friends.

During the Storm: Shelter in Place

If you’ve decided to shelter in place or are unable to evacuate, during the storm: shelter in place safely is your primary objective. This means staying indoors, away from windows, glass doors, and skylights, as these are the most vulnerable points for wind and flying debris. The safest place in your home is often an interior room on the lowest floor, like a bathroom or closet, away from exterior walls. Keep your family together in this safe room. It’s a good idea to have your preparedness kit and essential supplies in this room with you so they are easily accessible. Turn off your main electricity and gas supply if instructed to do so by authorities, and know how to shut off your water supply as well. Keep your battery-powered radio tuned to official broadcasts for updates, and use your phone only for emergencies to conserve battery power. Avoid using candles due to fire risk; rely on flashlights. Do not go outside under any circumstances while the storm is raging, not even to check on damage or retrieve something. Even when the wind seems to die down, remember that it could be the calm eye of the storm passing over, and the dangerous winds could return suddenly and from the opposite direction. Stay put until you receive an official