Typhoon Center Philippines: Today's Updates

D.Blinkink 65 views
Typhoon Center Philippines: Today's Updates

Typhoon Center Philippines: Today’s Updates

Hey guys! Let’s dive into the latest updates regarding the center of typhoons in the Philippines today . Staying informed about these powerful weather systems is super important, not just for those directly in their path but for everyone across the archipelago. We’re talking about potential impacts on daily life, infrastructure, and safety, so keeping a close eye on the storm’s trajectory and intensity is key. The Philippine Atmospheric, Geophysical and Astronomical Services Administration (PAGASA) is our go-to source for all things weather-related, and they provide real-time data that helps us understand where these typhoons are heading and how strong they might get.

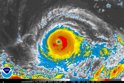
When we talk about the center of a typhoon , we’re essentially looking at the calm eye of the storm. This is the area of lowest atmospheric pressure, and it’s surrounded by the eyewall, which contains the most violent winds and heaviest rainfall. The movement of this eye dictates the path of the typhoon, and understanding its current location and forecasted track is crucial for disaster preparedness. Today, we’ll be focusing on any significant tropical cyclones that are currently affecting or are forecasted to affect the Philippines, providing you with the essential information you need to stay safe and prepared. We’ll cover where the storm is, its predicted movement, and what kind of impact residents can expect.

Tracking the Typhoon’s Eye: What You Need to Know

So, what exactly does it mean when we talk about the center of a typhoon in the Philippines today ? It’s all about pinpointing the storm’s core. This isn’t just a random point on a map; it’s the ‘eye’ of the storm, the calmest part, but it’s surrounded by the most destructive forces. Imagine a spinning top – the very center is still, but the outer edges are moving incredibly fast. That’s a simplified way to think about a typhoon. The Philippine Area of Responsibility (PAR) is a specific zone that PAGASA monitors, and when a typhoon enters or forms within it, it gets a local name. These names are assigned alphabetically each year, helping to distinguish between different storms and making it easier to communicate warnings.

When you see updates about the typhoon’s center, it’s usually given in terms of coordinates (latitude and longitude) and its distance and direction from a known landmass, like a major city or island. This information is absolutely vital for local government units and disaster response agencies. They use this data to issue timely warnings, coordinate evacuations, and position resources where they’ll be needed most. For us, living in or near potential storm paths, this means knowing if the eye is getting closer, moving away, or if we are in the quadrant of the storm that will experience the strongest winds and heaviest rains. The intensity of the typhoon is also a major factor, categorized by wind speed. We have tropical depressions, tropical storms, severe tropical storms, and typhoons, each with increasing wind speeds and potential for damage. Understanding the center’s movement and the storm’s category is your first line of defense. It helps you decide whether to stay put, prepare for evacuation, or implement specific safety measures at home. Always remember that even the calm eye can be deceptive; the destructive winds and rain surrounding it are what pose the most significant threat. Make sure you’re not caught off guard when the eyewall passes over your area.

PAGASA’s Role and Typhoon Monitoring

Now, let’s talk about the heroes behind the forecasts: PAGASA. The Philippine Atmospheric, Geophysical and Astronomical Services Administration is the government agency tasked with providing weather, hydrology, astronomical, and other related scientific services. For us, their most critical role is monitoring typhoons. They have a network of weather stations, radar systems, and satellite imagery that allows them to track these massive storms 24 7 . When we talk about the center of a typhoon in the Philippines today , PAGASA is the primary source giving us that information. They issue weather bulletins, storm signals, and advisories that are crucial for public safety.

Their forecasts aren’t just educated guesses; they’re based on sophisticated computer models and the expertise of meteorologists who analyze vast amounts of data. These models predict the typhoon’s path, intensity, and potential rainfall. PAGASA’s storm signals are particularly important for the public. Signal No. 1 means strong winds are expected, Signal No. 2 means destructive winds, Signal No. 3 indicates very destructive winds, and so on, up to Signal No. 5 for super typhoons. The assigned signal level often corresponds to the expected conditions when the storm’s center or eyewall is near. Therefore, paying close attention to PAGASA’s advisories is non-negotiable when a typhoon is in the vicinity. They are constantly updating their information, so checking their official website, social media, or tuning into news reports that cite PAGASA is essential. Their diligent work helps save lives and minimize damage by giving everyone advance warning. It’s a complex and challenging job, especially with the Philippines being in a typhoon-prone region, but their commitment to public service is unwavering. Remember, official information from PAGASA is your most reliable source.

What the Center’s Position Means for You

Alright, guys, let’s break down what the location of the center of a typhoon in the Philippines today actually means for you and your community. It’s not just about knowing the storm is somewhere out there; it’s about understanding its proximity and the implications for where you are. When a typhoon’s eye is forecast to make landfall, or pass very close to your area, it signifies that the most intense weather conditions are imminent. This usually means the strongest winds, heaviest rainfall, and potentially storm surges will be experienced directly from the eyewall, which is the ring of intense storms surrounding the calm eye.

If the center of the typhoon is predicted to pass north of your location, you might experience strong winds and rain, but perhaps not the most destructive forces unless you are in the southern quadrant of the storm. Conversely, if it’s predicted to pass south, you might be in the path of the most severe weather. The speed at which the typhoon is moving is also a critical factor. A faster-moving storm might bring intense conditions for a shorter period, while a slower-moving one can linger, causing prolonged periods of heavy rain and strong winds, increasing the risk of flooding and landslides. Understanding the forecasted track relative to your own position is paramount for making informed decisions about your safety. This includes deciding whether to evacuate, secure your home, or prepare an emergency kit. Don’t just look at the storm’s general location; consider its projected path and your specific vulnerability based on that path. The position of the center isn’t just a statistic; it’s a direct indicator of the potential danger you and your loved ones might face. Always have an evacuation plan ready if you live in a low-lying or coastal area, or in a region prone to landslides. Your safety and the safety of your family should always be the top priority. Be prepared, stay vigilant, and act on official warnings promptly.

Preparing Your Home and Family

Given the constant threat of typhoons, understanding the center of a typhoon in the Philippines today is directly linked to how well you prepare your home and family. When warnings are issued, and the storm’s center is nearing, proactive measures are essential. First off, securing your home is paramount. This means checking windows and doors, ensuring they are properly latched or boarded up if necessary, especially if you are under a storm signal indicating strong winds. Trim any branches from trees around your house that could fall and cause damage. Move any outdoor furniture, decorations, or loose items that could be blown away by strong winds. Securing your home is a critical step in mitigating potential damage and ensuring the safety of everyone inside.

For families, having an emergency kit is non-negotiable. This kit should include essentials like non-perishable food, clean water (at least one gallon per person per day for several days), a first-aid kit, flashlights with extra batteries, a battery-powered or hand-crank radio, medications, and important documents in a waterproof container. It’s also wise to have cash on hand, as ATMs and banks may be inaccessible. Ensure your mobile phones are fully charged, and consider having a power bank. Discussing an evacuation plan with your family is also vital. Know where you will go, how you will get there, and have a designated meeting point if you get separated. Communication is key , so establish a way to check in with each other. Listen to local authorities and PAGASA for instructions regarding evacuations, especially if you live in a high-risk area. Don’t wait until the last minute; early evacuation is often the safest course of action. Remember, preparedness is not just about protecting your property; it’s about protecting lives. Staying informed about the typhoon’s center and following safety guidelines can make a world of difference.

Staying Updated: Reliable Sources for Typhoon Information

In the Philippines, staying updated on the center of a typhoon today is a matter of life and death, and having access to reliable information sources is absolutely critical. We’ve already touched upon PAGASA, and they remain the gold standard for official weather updates. Their website (pagasa.dost.gov.ph), social media accounts, and public advisories are the most accurate and timely sources. They provide detailed information on the typhoon’s location, intensity, speed, and projected path, along with the corresponding storm signals for different regions. Always prioritize information coming directly from PAGASA to avoid misinformation.

Beyond PAGASA, major news networks in the Philippines play a vital role in disseminating this information to the public. Reputable television and radio stations, as well as major online news portals, will relay PAGASA’s bulletins and provide their own analyses and updates. They often have dedicated weather teams that work closely with PAGASA. However, it’s important to cross-reference information and always refer back to the official PAGASA warnings to ensure accuracy. Social media can be a double-edged sword; while it’s a fast way to get information, it’s also a breeding ground for rumors and fake news. Be extremely cautious about unverified information circulating on platforms like Facebook or Twitter. Look for posts from official government agencies, established news organizations, or verified PAGASA accounts. Having multiple reliable sources in your arsenal can provide a more comprehensive understanding of the situation and help you make better decisions. During a typhoon, information is your most powerful tool for safety. Don’t underestimate the importance of staying informed through credible channels. Encourage your neighbors and community members to do the same.

What to Do During a Typhoon

When the center of a typhoon is near or directly impacting the Philippines , knowing what to do during the event is just as crucial as knowing when it’s coming. The first and most important rule is to stay indoors and away from windows and doors . If you are in an area prone to flooding, move to higher ground immediately if instructed to do so by authorities. If you are caught outside, seek sturdy shelter as quickly as possible. Do not attempt to cross rivers or streams that are swollen or rising rapidly; the currents can be deceptively strong and dangerous. If your home is not secure or is in a dangerous location, evacuate to a designated evacuation center or a safer location before the storm hits its peak intensity. Heeding evacuation orders is paramount for your safety and the safety of your loved ones.

During the storm, listen to your battery-powered radio or check your phone (if power and signal are available) for updates from PAGASA and local authorities. Be prepared for power outages; this is why having flashlights and charged power banks is so important. If the wind and rain suddenly stop, do not assume the storm is over. This is likely the eye of the typhoon passing. The dangerous eyewall will return shortly, often from the opposite direction. Wait for the all-clear signal from authorities before venturing outside. Avoid driving during the typhoon if at all possible, as roads can be flooded, debris can be scattered, and visibility will be extremely poor. If you must travel, do so with extreme caution and only if absolutely necessary. After the typhoon has passed and it is safe to go outside, be cautious of downed power lines, debris, and damaged structures. Help your neighbors if you can, especially the elderly or those with disabilities. Your preparedness and responsible actions during a typhoon can significantly reduce risks and ensure your community weathers the storm safely.