Satellite Hurricane: Tracking Storms From Space

D.Blinkink 17 views
Satellite Hurricane: Tracking Storms From Space

Satellite Hurricane: Tracking Storms From Space

Hey everyone! Ever wondered how we keep tabs on those massive, swirling storms that we call hurricanes? Well, satellite hurricanes are a HUGE part of the answer! They’re like the ultimate weather reporters, giving us a bird’s-eye view of these powerful forces of nature. Let’s dive into how satellites track hurricanes, why it’s so important, and all the cool stuff we can learn from them. Buckle up, because it’s going to be a wild ride!

The Power of Satellites in Hurricane Tracking

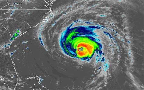
So, how do satellite hurricanes actually work? It’s pretty fascinating, guys. Satellites are equipped with a bunch of different instruments that can “see” things that we can’t from the ground. Think of it like having super-powered eyes in space. These eyes, or rather, the sensors on the satellites, can detect different types of energy that hurricanes give off. This includes visible light (like what we see with our own eyes), infrared radiation (which helps them measure the temperature of the clouds and the ocean), and even microwaves (which can penetrate through the clouds and see the structure of the storm). The data is then beamed back to Earth, where meteorologists use it to create detailed images and analyses of the hurricane. The use of satellites has revolutionized how we track hurricanes. Before satellites, we relied heavily on things like aircraft reconnaissance flights, radar stations, and surface observations from ships and land-based stations. But these methods had limitations. Aircraft could only sample a small portion of the storm at a time, and radar and surface observations were limited by distance and terrain. Satellites, on the other hand, provide a continuous, comprehensive view of the entire storm system, regardless of its location. This is crucial because hurricanes can form and intensify rapidly, and without this constant monitoring, we might miss critical changes in the storm’s intensity or direction. The data collected by satellite hurricanes is used to create these advanced computer models that are used to predict the hurricane’s track and intensity. These models take into account a variety of factors, including the storm’s current position, wind speed, pressure, and the environmental conditions around the storm. These models are constantly being refined and improved, but it’s important to remember that weather forecasting is not an exact science. Even with the best technology available, there will always be some uncertainty in the predictions, but the use of satellites has significantly improved the accuracy of hurricane forecasts. These images allow us to visualize the size, shape, and intensity of a hurricane, even when it’s located far out at sea and not visible from the ground. They give us a much more holistic view of the storm than ever before. Now, that’s what I call progress!

Types of Satellites Used

There are two main types of satellites that are used for hurricane tracking: geostationary satellites and polar-orbiting satellites . Geostationary satellites orbit the Earth at the same rate that the Earth rotates, so they stay in a fixed position above a specific point on the equator. This means they can continuously monitor the same area, providing frequent updates on the hurricane’s movement and changes. These satellites are like the constant watchers, always keeping an eye on the storm. Polar-orbiting satellites, on the other hand, travel in a north-south orbit, passing over the poles. They provide a more detailed view of the storm, as they can scan the entire Earth’s surface. However, they don’t provide the same continuous coverage as geostationary satellites. They’re like the detailed photographers, capturing high-resolution images of the hurricane. Both types of satellites are crucial for providing a comprehensive picture of the hurricane and its behavior. The data from geostationary satellites is particularly useful for tracking the movement of a hurricane over time, as they provide frequent images and information. The data from polar-orbiting satellites is particularly useful for measuring the intensity of a hurricane, as they can measure wind speeds, rainfall rates, and other important parameters. Together, these two types of satellites provide a complete picture of the hurricane, allowing meteorologists to make the most accurate forecasts possible. This is pretty powerful, right?

Data Collected by Satellite Hurricanes

Alright, so what exactly do satellite hurricanes measure? A LOT! They gather a wealth of data that helps us understand and predict hurricane behavior. Here are some key things they measure:

  • Cloud Cover and Structure: Satellites use visible light and infrared sensors to observe the cloud patterns and structure of the hurricane. This helps determine the storm’s size, shape, and intensity. Basically, it shows us the visual aspects of the storm.
  • Sea Surface Temperature: Infrared sensors can measure the temperature of the ocean’s surface. Warm ocean water is the fuel for hurricanes, so this data is crucial for understanding where the storm might strengthen or weaken.
  • Wind Speed and Direction: Satellites use instruments like scatterometers to measure wind speed and direction over the ocean’s surface. This is super important for understanding the storm’s intensity and predicting its path.
  • Rainfall Rates: Microwaves can penetrate through clouds and measure rainfall rates. This helps estimate how much rain the hurricane is producing, which is important for predicting flooding.
  • Storm Eye Details: Satellites can help identify the eye of the hurricane, which is the calm center of the storm. They can also reveal details about the eyewall, which is the ring of thunderstorms that surrounds the eye and contains the strongest winds.

Importance of the Data

This data is absolutely essential for hurricane forecasting. It helps meteorologists to:

  • Track the hurricane’s path: By continuously monitoring the storm’s position, satellites allow us to predict where it will go. This information is vital for issuing warnings and helping people prepare for the storm.
  • Determine the hurricane’s intensity: Wind speed, pressure, and other measurements help meteorologists determine how strong the storm is. This helps us to assess the potential for damage.
  • Predict changes in the storm’s intensity: By monitoring sea surface temperatures and other environmental factors, satellites can help predict whether the storm will strengthen or weaken.
  • Issue warnings: The data that is collected is used to issue warnings to the public, which allows people to prepare for the storm and take precautions to protect themselves and their property. This is a very valuable and essential service.
  • Improve forecasting models: Satellite data is used to improve the accuracy of hurricane forecasting models. These models help meteorologists make more accurate predictions about the storm’s path, intensity, and impact.

The Impact of Satellite Data on Hurricane Preparedness

Thanks to satellite hurricanes , we’re way better prepared for hurricanes than ever before. This data helps us in many ways, including:

  • Early Warnings: Satellites provide early warnings, giving people more time to evacuate or take shelter. This is crucial for saving lives.
  • Improved Accuracy: The accuracy of hurricane forecasts has improved dramatically, thanks to the data from satellites. This allows us to make better decisions about where and when to issue warnings.
  • Better Understanding: Satellites help us understand the behavior of hurricanes, including how they form, intensify, and move. This understanding allows us to make better predictions about the storm’s impact.
  • Informed Decision-Making: This data helps emergency managers make informed decisions about evacuation orders, resource allocation, and other critical actions.

Preparing for a Hurricane

As you can see, satellite hurricanes are a lifesaver when it comes to being prepared. To be ready, you should:

  • Stay Informed: Monitor weather forecasts and warnings from official sources.
  • Develop an Emergency Plan: Plan your evacuation route, know where you’ll go, and have an emergency kit ready.
  • Secure Your Home: Board up windows, trim trees, and secure any loose objects around your property.
  • Evacuate When Ordered: If you’re told to evacuate, do it! Your life is more important than your stuff.

Future of Satellite Hurricane Tracking

So, what does the future hold for satellite hurricanes ? The good news is, it’s looking bright! We can expect even more sophisticated satellites with more advanced sensors. This will allow for even more detailed measurements and improved forecasting models. Artificial intelligence and machine learning are also playing a bigger role, helping to analyze the vast amounts of data collected by satellites and improve the accuracy of predictions. Future advances in satellite technology will allow us to monitor hurricanes with even greater precision. For example, new satellites are being developed that can measure wind speeds and rainfall rates with even greater accuracy than existing satellites. These satellites will also be able to monitor the structure of the storm, including the eye and eyewall, in more detail. In addition, the use of artificial intelligence and machine learning will play an increasingly important role in hurricane forecasting. These technologies can be used to analyze the vast amounts of data collected by satellites and to improve the accuracy of predictions. As these technologies continue to develop, we can expect to see even greater improvements in our ability to track and predict hurricanes. This will help us to protect lives and property, and to mitigate the impact of these devastating storms. With these advancements, we’ll be even better equipped to protect ourselves and our communities from these powerful storms. This should bring a lot of confidence for everyone.

New Technologies

  • Advanced Sensors: Expect to see satellites with even more sophisticated sensors that can measure things like wind speed, rainfall rates, and the structure of the storm with even greater precision.
  • AI and Machine Learning: Artificial intelligence and machine learning will be used to analyze data and improve forecasting models, leading to more accurate predictions.
  • More Frequent Updates: We’ll likely see even more frequent updates on storm conditions, allowing for more timely warnings.

Conclusion: The Unsung Heroes of Hurricane Season

So, there you have it, guys! Satellite hurricanes are the unsung heroes of hurricane season, providing us with invaluable data and helping us stay safe. They help us understand these complex storms, track their movements, and issue warnings that save lives. From the geostationary satellites that constantly watch over us to the polar-orbiting satellites that give us a detailed view, they all work together to keep us informed. Next time you hear a hurricane warning, remember the incredible technology in space that’s working hard to keep us safe. It’s a testament to human ingenuity and our ability to protect ourselves from the forces of nature. That’s pretty amazing, don’t you think?

Keep an eye on the skies, and stay safe out there!