Satellite Hurricane Images: Your Ultimate Guide
Satellite Hurricane Images: Your Ultimate Guide
Hey there, weather enthusiasts! Ever wondered how we get those incredible satellite hurricane images you see on the news? Well, buckle up, because we’re about to dive deep into the fascinating world of satellite hurricane images , exploring how they’re captured, what they tell us, and why they’re so crucial in predicting and understanding these powerful storms. Let’s get started, guys!
Table of Contents
- Unveiling the Power: Understanding Satellite Hurricane Images
- Diving Deeper: Types of Satellite Imagery and What They Show
- The Impact Zone: How Satellite Images Improve Hurricane Forecasting
- Looking Ahead: The Future of Hurricane Imaging Technology
- Conclusion: The Power of Satellite Hurricane Images
Unveiling the Power: Understanding Satellite Hurricane Images
Satellite hurricane images aren’t just pretty pictures; they’re the eyes in the sky, providing invaluable data that helps meteorologists track, forecast, and understand hurricanes. They’re like the ultimate weather report, offering a comprehensive view of a storm’s structure, intensity, and movement. But how do these images come to be? Well, it all starts with satellites – specifically, a combination of geostationary and polar-orbiting satellites. Geostationary satellites, like GOES (Geostationary Operational Environmental Satellite), orbit the Earth at the same rate as the planet rotates. This means they remain fixed over a specific location, providing continuous views of the same area. This is super handy for monitoring developing hurricanes. These satellites are like the constant watchers, always keeping an eye on the storms. Polar-orbiting satellites, on the other hand, travel around the Earth in a north-south direction, passing over different regions. They provide higher-resolution images and can offer detailed information about the storm’s characteristics. The data from these satellites are then beamed down to ground stations, where they’re processed and turned into those stunning images and critical data that meteorologists use. Pretty cool, right?
So, what exactly do these satellite hurricane images reveal? A lot, actually! They show us the storm’s cloud patterns, which give clues about its size, shape, and intensity. By analyzing the temperatures of the cloud tops, scientists can estimate the storm’s strength. Warmer cloud tops indicate a weaker storm, while colder cloud tops suggest a more powerful one. The images also show us the location of the eye of the hurricane, which is the calm center of the storm. Tracking the eye’s movement helps predict the storm’s path and potential impact on land. Furthermore, satellite hurricane images can reveal other important features, such as the rain bands – the bands of thunderstorms that spiral around the hurricane’s center – and the storm’s wind field, which indicates the wind speeds at different locations. All this information is essential for issuing accurate forecasts and warnings, giving people time to prepare and take necessary precautions. These images are super important for early warnings. Plus, these images allow us to monitor the storm’s evolution over time. By comparing images from different times, meteorologists can see how the storm is changing, whether it’s strengthening, weakening, or changing direction. This real-time information is essential for continuously updating forecasts and ensuring that the public has the most up-to-date information. Without these images, we’d be flying blind!
Diving Deeper: Types of Satellite Imagery and What They Show
Okay, let’s get a little more technical, shall we? There are several types of satellite hurricane images , each providing different information about the storm. The most common types include:
-
Visible Imagery: This is what you’d typically think of when you see a satellite hurricane image . It’s similar to a regular photograph, showing the clouds and other features based on the amount of sunlight reflected. However, it can only be used during daylight hours. Visible imagery helps in identifying the storm’s size, shape, and cloud patterns.
-
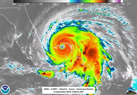
Infrared Imagery: Unlike visible imagery, infrared imagery can be used day or night. It measures the temperature of the cloud tops. Colder cloud tops indicate taller, more intense thunderstorms, which are usually associated with stronger hurricanes. Infrared imagery is crucial for estimating the storm’s intensity and tracking its development around the clock.
-
Water Vapor Imagery: This type of imagery measures the amount of water vapor in the atmosphere. It helps scientists identify areas of rising and sinking air, which can provide clues about the storm’s structure and the potential for new thunderstorms to form. Water vapor imagery is particularly useful for tracking the movement of the storm and understanding its overall dynamics.
-
Microwave Imagery: Microwave sensors can penetrate through clouds and provide a look at the storm’s inner structure. They can reveal information about the rainfall rate, the distribution of ice particles, and the storm’s wind speeds near the surface. Microwave imagery is essential for understanding the storm’s intensity and providing accurate rainfall estimates.
Each type of imagery provides a unique perspective on the hurricane, and meteorologists often use a combination of these images to get a complete picture of the storm. By integrating the data from different sensors, scientists can create detailed analyses and improve their understanding of hurricane behavior. For example, they might use visible imagery to see the overall cloud patterns, infrared imagery to determine the storm’s intensity, and microwave imagery to assess the rainfall distribution. Combining all these data points helps create accurate forecasts. And you can see how each type has its own strengths and limitations, right? That’s why using multiple types of imagery is so important.
The Impact Zone: How Satellite Images Improve Hurricane Forecasting
So, how exactly do satellite hurricane images make a difference in hurricane forecasting? The short answer: A lot! These images are absolutely crucial for improving the accuracy and lead time of hurricane forecasts. Think about it: the more data meteorologists have, the better they can understand the storm and predict its future behavior. Here’s how they do it:
-
Early Detection: Satellite hurricane images enable meteorologists to detect hurricanes early on, even when they’re still forming over the ocean. This early detection gives them more time to monitor the storm, gather data, and issue warnings.
-
Track Prediction: By tracking the movement of the eye and analyzing the storm’s cloud patterns, scientists can predict the hurricane’s path with greater accuracy. This information is vital for determining which areas are at risk and issuing appropriate evacuation orders.
-
Intensity Estimation: Satellite hurricane images , especially infrared and microwave imagery, help meteorologists estimate the hurricane’s intensity. This is a critical factor for determining the potential damage the storm could cause and for issuing warnings.
-
Rainfall Estimates: Microwave imagery can be used to estimate the amount of rainfall expected from the hurricane. This information is crucial for predicting potential flooding and informing emergency responders.
-
Improved Warnings: All this data helps meteorologists issue more accurate and timely warnings, giving people more time to prepare and evacuate if necessary. Accurate warnings can save lives and reduce property damage.
The constant flow of data from satellites allows for real-time monitoring and frequent updates to forecasts, meaning that you get the most up-to-date information possible. And these improvements in forecasting have a direct impact on public safety and preparedness. The better the forecasts, the better people can prepare! Ultimately, satellite hurricane images are a game-changer when it comes to hurricane forecasting, helping to protect lives and property from these powerful natural disasters.
Looking Ahead: The Future of Hurricane Imaging Technology
Okay, what’s next for satellite hurricane images ? The future is looking bright, guys, with even more advanced technology on the horizon. Here are some exciting developments to watch out for:
-
Higher Resolution Imagery: Future satellites will have even more advanced sensors, allowing for higher-resolution images. This means that meteorologists will be able to see even more detail within the storm, leading to more accurate forecasts.
-
Improved Data Processing: The processing of satellite data is constantly improving, with new algorithms being developed to extract more information from the images. This includes improved methods for estimating the storm’s intensity, rainfall, and wind speeds.
-
New Satellite Missions: Space agencies are constantly launching new satellite missions dedicated to studying hurricanes. These missions will provide even more data and improve our understanding of these storms.
-
AI and Machine Learning: Artificial intelligence and machine learning are playing an increasingly important role in analyzing satellite data. These technologies can quickly identify patterns and anomalies in the images, helping meteorologists make faster and more accurate forecasts.
-
Multi-Platform Data Integration: The future involves the integration of data from multiple sources, including satellites, aircraft, radar, and surface observations. This will provide a more comprehensive view of the storm and improve the accuracy of forecasts. This will create a much more comprehensive understanding, which means better forecasts. These advancements will continue to improve the accuracy and lead time of hurricane forecasts. These advances are super exciting! The combination of advanced technology, data integration, and AI is set to revolutionize hurricane forecasting. With each new technological leap, we become better equipped to understand and prepare for these powerful storms. So, the next time you see a satellite hurricane image , remember that you are looking at more than just a picture – you are looking at the forefront of weather science, constantly evolving to protect us all!
Conclusion: The Power of Satellite Hurricane Images
So there you have it, guys! From capturing the first image to helping us predict the storm’s path, satellite hurricane images are a crucial piece of the puzzle in understanding and preparing for these powerful natural disasters. They help us to understand what’s happening, predict where the storm is going, and ultimately, save lives. They give us early warnings to prepare. These images provide invaluable data and will continue to be a cornerstone of hurricane forecasting. It’s a field that’s always evolving, and the future is looking bright! Keep an eye out for more awesome developments, and stay safe during hurricane season!