OS, Hurricanes, SC, Trackers: Your Guide To NOAA Data

D.Blinkink 141 views
OS, Hurricanes, SC, Trackers: Your Guide To NOAA Data

OS, Hurricanes, SC, Trackers: Your Guide to NOAA Data

Hey there, fellow weather enthusiasts! Ever found yourself glued to your screen during hurricane season, frantically refreshing pages for the latest updates? If so, you’re in good company! Today, we’re diving deep into the world of OS, Hurricanes, SC, Trackers , and how you can harness the power of NOAA (National Oceanic and Atmospheric Administration) data to stay informed and safe. We’ll explore the tools, the data, and the crucial information you need to navigate the turbulent waters of hurricane season. It’s like having your own personal weather command center, guys, so let’s get started!

Unveiling the Power of NOAA and Its Hurricane Tracking Tools

First things first, what exactly is NOAA, and why should you care? Well, NOAA is a U.S. federal agency focused on understanding conditions in the oceans and the atmosphere. Think of them as the ultimate weather nerds, constantly monitoring, predicting, and providing data related to our planet’s environment. And when it comes to hurricanes, NOAA is the gold standard. They’ve got the expertise, the technology, and the resources to provide the most accurate and up-to-date information available.

So, what tools does NOAA provide for hurricane tracking ? The primary source of information is the National Hurricane Center (NHC), a division of NOAA. The NHC is the go-to place for real-time hurricane tracking, forecasts, and warnings. They utilize a variety of sophisticated tools, including:

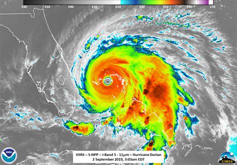
  • Satellite Imagery : Providing visual representations of the storms, showing their size, intensity, and movement.
  • Radar Data : Helping to pinpoint the location of the storm’s eye and track its progression.
  • Hurricane Models : Complex computer models that predict the storm’s path and intensity based on various factors.
  • Storm Surge Predictions : Estimates of how high the water level will rise during a hurricane, a critical piece of information for coastal residents.

The NHC website (hurricanes.gov) is your digital headquarters for all things hurricane. You’ll find maps, graphics, and text-based reports, all designed to keep you informed. It’s a treasure trove of information, and it’s essential to familiarize yourself with the site before hurricane season hits. You’ll find the latest advisories, watches, and warnings, as well as detailed information on each active storm. And remember, guys, staying informed is half the battle when it comes to hurricane preparedness!

Understanding the South Carolina (SC) Context : South Carolina is particularly vulnerable to hurricanes, given its extensive coastline. The state has a history of devastating storms, and the impact can be significant. This is why having access to specific information related to SC is so important. When you’re using NOAA’s tools, always focus on the information tailored to your specific area. Pay close attention to the local warnings and advisories issued by the NHC and your local emergency management officials.

Decoding Hurricane Data: Watches, Warnings, and Everything In Between

Okay, so you’ve found the NHC website, you’re ready to go, but now you’re faced with a sea of technical jargon. Don’t worry; we’ll break it down, making it easy to understand the critical information you need to know. Let’s start with the basics:

  • Watches : Issued when hurricane conditions (sustained winds of 74 mph or higher) are possible within a specified area, typically within 48 hours.
  • Warnings : Issued when hurricane conditions are expected within a specified area, typically within 36 hours.

Think of it this way: a watch is like a heads-up, while a warning means it’s time to take action. When a watch is issued, it’s time to start preparing: check your supplies, review your evacuation plan, and stay informed. When a warning is issued, it’s time to act: complete your preparations, secure your property, and be ready to evacuate if necessary.

Beyond Watches and Warnings:

The NHC also uses other important terms and data points. These include:

  • Intensity Categories : Hurricanes are classified into five categories based on their sustained wind speeds, from Category 1 (the weakest) to Category 5 (the strongest).
  • Track Maps : These maps show the predicted path of the storm, including the cone of uncertainty, which represents the potential area where the storm’s center may travel.
  • Forecasts : The NHC provides detailed forecasts, including wind speeds, rainfall amounts, and storm surge predictions.
  • Probability Information : Probability maps show the likelihood of hurricane-force winds impacting a particular location.

Interpreting the Data : When reviewing the information, pay attention to the cone of uncertainty. It’s crucial to understand that the storm’s center may not follow the exact line on the map. The cone represents the area where the center of the storm is most likely to go. Also, take into account the storm’s intensity, as the stronger the storm, the greater the impact will be. Storm surge is also a critical factor; even a relatively weak storm can cause significant flooding if it generates a large storm surge.

Essential Hurricane Preparedness Tips for Everyone

Now that you know how to access and understand the data, let’s talk about what you can do to prepare for hurricane season. It’s not enough to simply follow the weather reports; you need to take proactive steps to ensure your safety and the safety of your loved ones. Here’s a quick checklist to get you started:

  • Create a Disaster Plan : The most important thing you can do is have a plan. Discuss it with your family, and make sure everyone knows what to do in case of a hurricane. Include evacuation routes, meeting places, and emergency contact information.
  • Build an Emergency Kit : This should include essential supplies such as food, water, first-aid supplies, medications, a flashlight, batteries, a radio (preferably a hand-crank or battery-powered one), and cash. Aim for at least a three-day supply of essentials.
  • Secure Your Home : Trim trees and shrubs around your house, and clear your yard of any potential projectiles, such as loose furniture and decorations. Board up windows or install hurricane shutters. Strengthen your roof and garage doors.
  • Know Your Evacuation Zone : Identify your evacuation zone and learn the evacuation routes in your area. Be prepared to evacuate if instructed to do so by local officials.
  • Stay Informed : Monitor the NHC website, local news, and social media for the latest updates. Be prepared to act on any warnings or advisories issued by local authorities.
  • Protect Your Pets : Include pet supplies in your emergency kit. Have a plan for where your pets will stay if you have to evacuate.

Important Considerations for South Carolina Residents : South Carolina residents need to be particularly vigilant. Given the low-lying coastal areas, flooding can be a major issue. Understand the flood risk in your area and take appropriate precautions. Have flood insurance if you live in a flood-prone zone. Also, familiarize yourself with the state’s evacuation procedures, and make sure you know your evacuation zone and route.

Leveraging Technology: Apps and Online Resources for Hurricane Tracking

In addition to the official NOAA websites, there are many other excellent apps and online resources that can help you stay informed during hurricane season. These tools can provide real-time updates, interactive maps, and personalized alerts.

  • NOAA’s Mobile App : The official NOAA app offers access to weather forecasts, radar data, and alerts. It’s a great way to stay connected on the go.
  • The Weather Channel App : This app provides comprehensive weather information, including hurricane tracking, detailed forecasts, and interactive maps.
  • AccuWeather App : Another popular app, AccuWeather provides real-time weather updates, forecasts, and severe weather alerts. It also includes hurricane tracking information.
  • Local News Apps : Download the apps of your local news providers for up-to-the-minute information and alerts.
  • Social Media : Follow reliable sources, such as the NHC, local news outlets, and your local emergency management agencies, on social media. They often provide real-time updates and important information during storms.

Tips for Using Apps and Online Resources :

  • Verify the Source : Ensure that the information you’re getting comes from a reliable source. Check the source’s reputation and accuracy.
  • Customize Alerts : Set up alerts to receive notifications for severe weather watches and warnings in your area.
  • Use Multiple Sources : Don’t rely on just one source of information. Cross-reference the data from different apps and resources to get a complete picture.

Staying Safe and Informed: Your Action Plan for Hurricane Season

Alright, guys, you’ve got the knowledge, the tools, and the plan! You’re now well-equipped to navigate hurricane season with confidence. Remember, the key is to stay informed, prepare in advance, and take action when necessary. Here’s a quick recap:

  1. Understand the Basics : Familiarize yourself with NOAA, the NHC, and the different types of data they provide. Know the difference between watches and warnings.
  2. Monitor the Forecasts : Regularly check the NHC website and other reliable sources for the latest updates on any active storms.
  3. Prepare Your Home and Family : Create a disaster plan, build an emergency kit, and secure your property.
  4. Know Your Evacuation Zone : Be prepared to evacuate if instructed to do so by local authorities.
  5. Stay Informed : Use apps, social media, and local news sources to stay up-to-date on the latest developments.
  6. Heed the Warnings : Pay close attention to any watches or warnings issued by the NHC and local officials. Take action promptly.

Hurricane season can be a stressful time, but by taking these steps, you can significantly reduce your risk and stay safe. So, stay vigilant, stay informed, and let’s weather the storm together! And remember, your safety is the most important thing. Stay safe out there, and we’ll get through this together.