NOAA Hurricane Center: Your Ultimate Tropical Cyclone Guide

D.Blinkink 0 views
NOAA Hurricane Center: Your Ultimate Tropical Cyclone Guide

NOAA Hurricane Center: Your Ultimate Tropical Cyclone Guide

Hey everyone! So, you want to know about hurricanes, huh? Especially when things get hairy in hurricane season, you’re gonna want to have a reliable source for all the latest information. That’s where the NOAA Hurricane Center comes in. They are basically the superheroes of tracking tropical cyclones, giving us the lowdown on everything from forming storms to their potential impact. Seriously, guys, when a storm is brewing, this is the place to go. They work hand-in-hand with the National Hurricane Center (NHC), which is part of NOAA, to provide critical data, forecasts, and warnings that can literally save lives. Think about it: understanding where a hurricane is headed, how strong it might get, and when it’s likely to make landfall are all crucial pieces of information for you, your family, and your community. The NOAA Hurricane Center doesn’t just track storms; they are actively involved in research and development to improve forecasting models, making them even more accurate over time. They provide real-time updates, historical data, and educational resources, making them an indispensable tool for meteorologists, emergency managers, and, of course, us regular folks trying to stay safe. Their commitment to public safety through accurate and timely information is unparalleled, and in a world where extreme weather events seem to be on the rise, their role is more critical than ever. So, next time you hear about a tropical disturbance, remember that the NOAA Hurricane Center is the engine room behind the warnings and forecasts you rely on.

Understanding Tropical Cyclones: The Basics

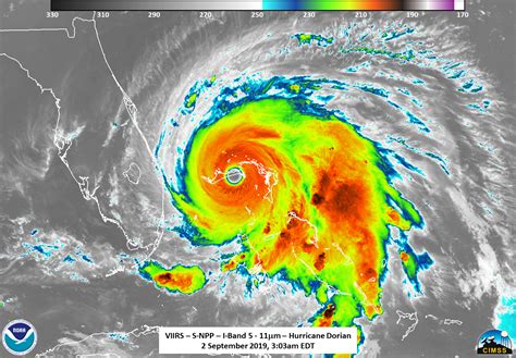
Alright, let’s get down to the nitty-gritty about tropical cyclones , which is the fancy scientific term for hurricanes, typhoons, and cyclones. It all starts with warm ocean waters. When the sea surface temperature gets to about 80 degrees Fahrenheit (26.5 degrees Celsius) or warmer, and it extends down to a decent depth, it’s like a buffet for these storms. You also need some disturbance in the atmosphere, like a low-pressure area or a tropical wave, to get things rolling. As moist air rises and cools, it condenses, forming clouds and releasing latent heat. This heat warms the surrounding air, causing it to rise further, which then draws in more moist air from below. It’s a self-sustaining cycle that can quickly escalate. The Earth’s rotation, known as the Coriolis effect, is what gives these storms their characteristic spinning motion. Without it, they’d just be disorganized thunderstorms. So, as a disturbance spins faster and faster, and the winds reach a certain speed, it graduates from a tropical depression to a tropical storm, and if it keeps intensifying, it becomes a hurricane (or typhoon/cyclone depending on the ocean basin). The NOAA Hurricane Center is constantly monitoring these developing systems, using a whole arsenal of tools from satellites and radar to hurricane hunter aircraft. These dedicated planes actually fly into the storms to gather crucial data like wind speed, pressure, and temperature. It’s a dangerous job, but it provides invaluable information that helps forecasters refine their predictions. Understanding the anatomy of a hurricane – the eye, the eyewall, and the rainbands – is also key. The eye is the calm center, while the eyewall is where the most intense winds and rainfall occur. The outer rainbands can also produce severe weather, even far from the center of the storm. The NOAA Hurricane Center’s expertise is crucial in deciphering these complex systems and translating the data into understandable warnings for the public. They are the ones keeping an eye on the sky and the sea, so we can prepare.

The Role of the National Hurricane Center (NHC)

Now, when we talk about the NOAA Hurricane Center , we’re often talking about the incredible work done by the National Hurricane Center (NHC). The NHC is a part of NOAA, and it’s the go-to agency for forecasting tropical cyclones in the Atlantic and Northeastern Pacific basins. They are the ones issuing those important advisories, watches, and warnings that tell us when a storm is a threat. Think of them as the air traffic controllers for hurricanes. They monitor all developing tropical systems, from the earliest stages of a disturbance to a fully formed Category 5 monster. Their team of meteorologists uses a combination of cutting-edge technology and their own expert analysis to predict the track, intensity, and potential impacts of these storms. This isn’t just about where the storm might go, but also about how strong it’s expected to be and what kind of hazards it might bring, like storm surge, heavy rainfall, and high winds. The NHC issues public advisories every few hours during a storm event, which include detailed information about the storm’s current status, its forecast track, and the expected wind field. They also issue graphical products, like cone of uncertainty maps, which show the probable path of the storm’s center but also highlight that the impacts can extend far beyond this cone. It’s super important to understand that the cone of uncertainty represents the center of the storm, and you should always prepare for impacts outside of it. The NHC’s collaboration with other agencies and international partners is also vital. They share data and expertise to ensure the most accurate forecasts possible, especially for storms that might affect multiple countries. Their dedication to providing timely and accurate information is a cornerstone of hurricane preparedness and response efforts across the affected regions. Guys, the NHC is on the front lines, working tirelessly to keep us informed and safe.

How NOAA Tracks Hurricanes

So, how exactly does the NOAA Hurricane Center , and by extension the NHC, keep tabs on these massive storms? It’s a sophisticated, multi-faceted operation involving a whole suite of advanced technologies. Satellites are probably the most visible tools. Geostationary satellites provide continuous imagery of cloud patterns, allowing forecasters to see storms develop and track their movement over vast ocean areas where direct observation is impossible. Polar-orbiting satellites offer higher-resolution images and gather data on atmospheric temperature and moisture profiles. Then there are the famous Hurricane Hunters . These are specialized aircraft, operated by NOAA and the U.S. Air Force Reserve, that fly directly into the eye of a hurricane. They carry sophisticated instruments that measure wind speed, pressure, temperature, and humidity at various altitudes within the storm. This direct data is critical for initializing and improving the computer forecast models. Doppler radar , both ground-based and airborne, is another key player. It helps determine the storm’s internal structure, wind speeds, and precipitation intensity. Ground-based radar provides detailed information once a storm approaches land. Buoys and ships at sea also contribute valuable data, reporting surface conditions and wave heights. But it’s not just about collecting raw data. All this information is fed into complex computer models . These models use mathematical equations to simulate the atmosphere and predict how a storm will behave. There are various models, each with its own strengths and weaknesses, and forecasters at the NHC analyze the outputs of multiple models to arrive at the most likely forecast. It’s a constant process of data collection, analysis, and refinement. The NOAA Hurricane Center is at the forefront of leveraging these technologies to provide the best possible warnings and forecasts, ensuring that communities have the advance notice they need to prepare for the impacts of these powerful storms.

Preparing for Hurricane Season

Now, let’s talk about something really important: preparing for hurricane season . This isn’t just a one-day event; it’s something you need to be thinking about from June 1st through November 30th, the official Atlantic hurricane season. The NOAA Hurricane Center and the NHC provide the forecasts, but it’s up to us to take action. First things first, know your risk. Are you in an evacuation zone? Do you live in an area prone to storm surge or flooding? Understanding your local risks is the foundation of good preparation. Next, build a disaster kit . This should include essentials like water (one gallon per person per day for several days), non-perishable food, a flashlight with extra batteries, a first-aid kit, medications, a multi-tool, sanitation and personal hygiene items, copies of important documents, and cash. Don’t forget things like pet food if you have animals! It’s also wise to have a family emergency plan. Discuss with your family where you will meet if you get separated, how you will communicate, and what you will do in different scenarios, like evacuation or sheltering in place. Staying informed is key, and the NOAA Hurricane Center website and NHC advisories are your best friends. Pay attention to watches and warnings issued for your area. A hurricane watch means hurricane conditions are possible within your area, generally within 48 hours. A hurricane warning means hurricane conditions are expected in your area, generally within 36 hours. These are crucial alerts that require immediate action. Finally, have a plan for your home. This might involve reinforcing windows and doors, securing outdoor objects that could become projectiles, and having a plan for potential power outages. The more prepared you are before a storm hits, the safer you and your loved ones will be. Remember, guys, preparedness is your best defense against the power of a hurricane.

What to Do During a Hurricane

Okay, so you’ve done your prep, and now a hurricane is bearing down. What do you do? The NOAA Hurricane Center and NHC have issued warnings, and it’s time to act. Evacuate if told to do so. This is probably the most critical piece of advice. If local officials issue an evacuation order for your area, you must leave. Don’t wait. Storm surge is one of the deadliest aspects of a hurricane, and inland flooding can also be treacherous. Follow the designated evacuation routes and head to a safe location, whether it’s a friend’s house inland, a designated shelter, or a hotel. If you are not in an evacuation zone and are told to shelter in place, stay indoors and away from windows and doors. The winds inside a hurricane are incredibly powerful, and flying debris can be extremely dangerous. Keep your disaster kit handy and stay informed by listening to a NOAA Weather Radio or local emergency broadcasts. Avoid unnecessary travel. Roads can become flooded, blocked by debris, or dangerous due to high winds. If you lose power, use your flashlight – never use candles, as they pose a fire risk. Continue to monitor the storm’s progress and heed any further instructions from emergency management officials. Remember that hurricane conditions can last for many hours, and the aftermath can also present dangers, such as downed power lines and lingering floodwaters. Trust the information provided by the NOAA Hurricane Center and your local emergency managers; they are working to keep you safe. Your cooperation and adherence to safety guidelines are paramount during these intense weather events.

After the Storm: Safety First

Whew, the storm has passed, but the danger isn’t necessarily over. The NOAA Hurricane Center will continue to provide updates on the storm’s dissipation and any lingering threats. Safety after a hurricane is just as crucial as preparing for one. Continue to listen to authorities. Emergency officials will provide guidance on when it’s safe to return home if you evacuated, and they will also alert you to ongoing hazards in your community. Watch out for downed power lines. Assume all downed lines are energized and extremely dangerous. Report them immediately to the power company and stay far away. Be aware of floodwaters. Never walk or drive through floodwaters. They can be deeper than they appear, contain hidden debris, and be contaminated with sewage or chemicals. It only takes a few inches of moving water to knock you off your feet or sweep away a vehicle. Inspect your home carefully for damage before re-entering, especially if you were advised to evacuate. Be cautious of structural damage, gas leaks (if you smell gas, leave immediately), and electrical hazards. If you have a generator, operate it only outdoors in a well-ventilated area, far away from windows and doors, to prevent carbon monoxide poisoning. Document any damage with photos or videos for insurance purposes. It’s also important to check on neighbors, especially the elderly or those with special needs, if it is safe to do so. The recovery process can be long and challenging, but by prioritizing safety and following official guidance, you can navigate the post-hurricane environment more securely. The NOAA Hurricane Center provides the crucial forecasts leading up to and during the storm, but safety in the aftermath relies heavily on your continued vigilance and adherence to local emergency directives.

The Future of Hurricane Forecasting

Looking ahead, the NOAA Hurricane Center is continuously working to push the boundaries of hurricane forecasting . Technology is always advancing, and so are the methods used to predict these powerful storms. One major area of focus is improving the intensity forecast . While predicting the track of a hurricane has become more accurate over the years, forecasting exactly how strong a storm will become remains a significant challenge. NOAA is investing in research and new technologies, including advanced satellite instruments and more powerful supercomputers, to better understand the complex processes that cause storms to intensify or weaken. Ensemble forecasting is another key development. Instead of relying on a single computer model, forecasters run multiple versions of a model with slightly different initial conditions, or they use a suite of different models. This creates an