National Hurricane: Understanding The Storms

D.Blinkink 21 views
National Hurricane: Understanding The Storms

National Hurricane: Understanding the Storms

Hey guys! Let’s dive deep into the world of National Hurricane events, shall we? When we talk about these massive weather phenomena, we’re really discussing some of the most powerful and destructive storms on Earth. Understanding them isn’t just about satisfying curiosity; it’s about preparedness, safety, and mitigating the damage they can cause. Hurricanes, typhoons, and cyclones – they’re all the same type of storm, just with different names depending on where they form in the world. The National Hurricane Center (NHC), for example, keeps a close eye on these storms in the Atlantic and Northeast Pacific oceans. They track their formation, predict their paths, and issue warnings to keep people safe. These storms can unleash incredible fury with high winds, torrential rain, and devastating storm surges. The sheer scale of a hurricane is mind-boggling, often spanning hundreds of miles across. They derive their energy from warm ocean waters, and their intensity can fluctuate rapidly. Sometimes, a weak tropical depression can rapidly intensify into a major hurricane in a matter of days, much to the surprise and concern of meteorologists and the public alike. The economic and social impact of a single major hurricane can be catastrophic, leading to billions of dollars in damage, widespread power outages, and displacement of communities. Learning about the science behind hurricanes, the naming conventions, the different categories on the Saffir-Simpson Hurricane Wind Scale, and the best practices for hurricane preparedness is absolutely crucial for anyone living in hurricane-prone regions. It’s not just about the wind, either. The inland flooding from intense rainfall can be just as, if not more, dangerous. Think about the lessons learned from past storms – they constantly inform our understanding and improve our forecasting models. The science behind hurricane prediction is constantly evolving, with advancements in satellite technology, computer modeling, and data analysis allowing forecasters to provide more accurate and timely warnings. This is vital because timely warnings are the difference between life and death. The NHC’s role is paramount in this process, serving as a central hub for information and guidance. They don’t just predict storms; they also educate the public on safety measures and evacuation procedures. It’s a comprehensive approach to managing a threat that is both predictable in its general behavior and unpredictable in its specific intensity and track. So, when we hear about a hurricane forming, it’s more than just a news headline; it’s a call to attention, a reminder of nature’s power, and a signal to get prepared.

The Genesis of a Hurricane: From Tropical Disturbance to Fury

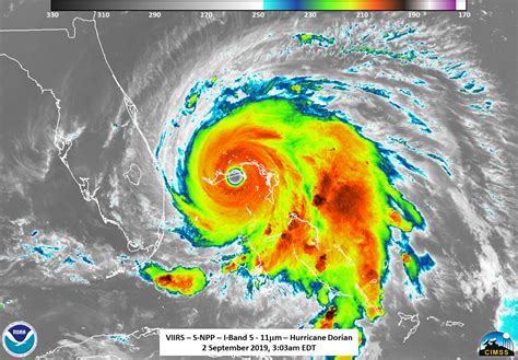
Alright folks, let’s get into the nitty-gritty of how a National Hurricane actually comes to be. It all starts with a little something called a tropical disturbance . Think of it as a disorganized cluster of thunderstorms over warm ocean waters, usually near the equator where the water temperatures are a balmy 80 degrees Fahrenheit (26.5 degrees Celsius) or warmer. For a tropical disturbance to have the potential to grow, it needs a few key ingredients. First, you need that warm ocean water, which acts as the fuel. As the warm, moist air rises from the ocean surface, it cools and condenses, forming clouds and releasing latent heat. This heat warms the surrounding air, causing it to rise even further, creating a cycle that can strengthen the storm. Second, you need low vertical wind shear. This means that the wind speed and direction don’t change much as you go up in altitude. If the wind shear is too high, it can rip apart the developing storm before it gets a chance to organize. Third, there needs to be sufficient Coriolis force. This is an effect caused by the Earth’s rotation, and it’s what gives the storm its characteristic spin. That’s why hurricanes don’t form right on the equator; the Coriolis force is weakest there. As the tropical disturbance starts to organize and winds pick up, it might be classified as a tropical depression . This is when sustained winds reach up to 38 miles per hour (61 kilometers per hour). If it continues to strengthen and organize, with sustained winds between 39 and 73 miles per hour (63 to 118 kilometers per hour), it graduates to a tropical storm . This is the stage where the storm gets its name from the pre-determined list maintained by the World Meteorological Organization. Once those sustained winds hit 74 miles per hour (119 kilometers per hour) or higher, congratulations, you’ve got yourself a hurricane ! The storm is now officially a major weather event, and the National Hurricane Center (NHC) will be watching its every move. The structure of a hurricane is also pretty fascinating. You’ve got the eye , the calm center of the storm where the air sinks. Surrounding the eye is the eyewall , the most violent part of the storm, with the strongest winds and heaviest rainfall. Beyond that, you have the rainbands , which are curved bands of thunderstorms that spiral outwards from the center. The whole system can be hundreds of miles wide, a true behemoth of atmospheric power. It’s this organized, rotating system fueled by warm ocean water that makes hurricanes so powerful and potentially devastating. Understanding this birth process is the first step in appreciating the forces we’re dealing with when a National Hurricane is on the horizon.

The Saffir-Simpson Scale: Gauging Hurricane Intensity

Guys, when we talk about National Hurricane events, one of the most important tools we have for understanding their potential impact is the Saffir-Simpson Hurricane Wind Scale . This isn’t just some random classification; it’s a crucial system that categorizes hurricanes based on their sustained wind speed . It helps us, the public, and emergency managers gauge the potential for property damage and understand the severity of the storm. It’s broken down into five categories, with Category 1 being the least intense and Category 5 being the most catastrophic. Let’s break it down:

  • Category 1 Hurricane: These storms have sustained winds of 74-95 mph (119-153 km/h). While they are the weakest category, they can still cause significant damage. Expect some damage to roofing, siding, and gutters, and power outages are likely, especially in coastal areas. Trees may be snapped or uprooted, and mobile homes can be destroyed.
  • Category 2 Hurricane: With sustained winds of 96-110 mph (154-177 km/h), Category 2 storms are more dangerous. Expect more extensive damage to homes, with significant power outages expected. Major damage to trees and vegetation is common, and widespread power and water outages can occur.
  • Category 3 Hurricane: Now we’re stepping into major hurricane territory! Sustained winds here range from 111-129 mph (178-208 km/h). These storms can cause devastating damage. Complete power loss is likely, and homes can suffer major structural damage. There’s a high risk of damage to all structures, and coastal and inland flooding are significant concerns.
  • Category 4 Hurricane: This is where things get really serious. Sustained winds are between 130-156 mph (209-251 km/h). Expect catastrophic damage. Most well-built homes will suffer severe damage, with potential for total roof failure and loss of walls. Power outages will last for weeks or months, and the landscape can be dramatically altered. Storm surge becomes an extremely dangerous factor at this level.
  • Category 5 Hurricane: The most powerful category, with sustained winds exceeding 157 mph (252 km/h). These storms are catastrophic . A high percentage of homes will be destroyed, and total power loss is expected for an extended period. Evacuation of residential areas is often required, and survival is paramount. The destruction is widespread and can fundamentally change the affected region.

It’s super important to remember that the Saffir-Simpson Scale only measures wind intensity. It doesn’t directly account for other major hurricane threats like storm surge, rainfall flooding, or tornadoes, which can all cause significant damage and pose serious risks, sometimes even greater than the wind itself. So, even a Category 1 storm can be incredibly dangerous if it brings a massive storm surge or extreme rainfall. Always pay attention to all aspects of the forecast, not just the category. The National Hurricane Center provides detailed information on all these threats, helping us make informed decisions about our safety and preparedness.

Beyond the Wind: Storm Surge and Inland Flooding

Alright, so we’ve talked about the wind speed and categories of a National Hurricane , but guys, that’s only part of the story. Two of the most deadly and destructive aspects of these massive storms are storm surge and inland flooding . It’s crucial to understand that these can cause more damage and loss of life than the wind alone, even in weaker hurricanes.

Storm Surge: Imagine a massive dome of water being pushed ashore by the hurricane’s winds. That’s essentially what storm surge is. It’s an abnormal rise of water generated by a storm, over and above the predicted astronomical tide. The combination of strong onshore winds pushing water towards the coast, the low pressure at the storm’s center allowing the water surface to rise, and the shape of the coastline and seabed can create a devastating surge. Coastal areas are particularly vulnerable. Even a few feet of storm surge can inundate roads, flood homes, and make evacuation impossible. Higher surges, especially with major hurricanes (Category 3 and above), can completely submerge coastal communities, sweeping away buildings and causing widespread destruction. The Saffir-Simpson scale doesn’t directly quantify storm surge, which is why the National Hurricane Center (NHC) issues specific storm surge warnings and storm surge watches . These are critical because they highlight areas where life-threatening inundation from the surge is expected. Understanding your elevation and potential surge risk is absolutely vital if you live in a coastal zone. Don’t underestimate the power of this wall of water!

Inland Flooding: Once a hurricane makes landfall, its moisture-laden clouds don’t just disappear. They continue to dump incredible amounts of rain as the storm moves inland. Hurricanes are essentially giant, slow-moving rain factories. Some hurricanes can drop 10, 30, or even more inches of rain over a period of several days. This can lead to severe inland flooding, affecting areas far from the coast that might think they are safe from the hurricane’s direct impact. Rivers can overflow their banks, creeks can become raging torrents, and low-lying areas can become lakes. Flash floods are a significant danger, happening rapidly and catching people off guard. The ground can become saturated, leading to landslides and mudslides in hilly or mountainous terrain. Power outages caused by flooding can be prolonged, and contaminated water supplies are a serious concern. Unlike storm surge, which is primarily a coastal threat, inland flooding can impact vast regions of a state or even multiple states as the storm system weakens but continues to produce heavy rain. Historically, many hurricane-related fatalities have resulted from inland flooding, often from people attempting to drive or walk through floodwaters, which is incredibly dangerous. Remember the saying: ‘Turn Around, Don’t Drown!’ It applies not just to flash floods but to any floodwaters. The combination of these factors – powerful winds, a destructive storm surge, and torrential rainfall leading to widespread flooding – makes hurricanes one of nature’s most formidable forces. That’s why staying informed through official channels like the NHC is non-negotiable when a National Hurricane is threatening.

Preparing for a National Hurricane: Safety First, Always!

Okay team, we’ve covered what hurricanes are, how they form, and the dangers they pose beyond just wind. Now, the most critical part: preparation . When a National Hurricane is on the horizon, acting proactively is your absolute best defense. Waiting until the storm is almost on top of you is a recipe for disaster, guys. Preparedness isn’t just about having supplies; it’s about having a plan.

First things first: Know Your Zone . Many coastal communities have evacuation zones. Check with your local emergency management agency to find out if you live in a storm surge or flood-prone zone. If you’re advised to evacuate, do it . Don’t try to ride out a major storm surge or severe flooding. Your life is worth more than your belongings.

Build a Disaster Kit: This is your lifeline. It should include essentials to last you at least 72 hours, ideally longer. Think non-perishable food, plenty of water (one gallon per person per day), a first-aid kit, medications, a flashlight with extra batteries, a battery-powered or hand-crank radio (to stay updated on forecasts from the National Hurricane Center), a multi-tool, sanitation items, copies of important documents, cash, and chargers for your electronics. Don’t forget pet supplies if you have furry family members!

Develop a Family Communication Plan: In a disaster, communication lines can be down. Designate an out-of-state contact person who all family members can check in with. It’s often easier to make long-distance calls than local ones when systems are overloaded. Make sure everyone knows the plan and where to meet if you get separated.

Secure Your Home: Before a storm hits, take steps to protect your property. Board up windows and doors with plywood. Bring in any outdoor furniture, decorations, or garbage cans that could become projectiles in high winds. Trim trees and shrubs around your house to reduce the risk of falling branches. Anchor down anything that can blow away. For those in hurricane-prone areas, consider installing permanent storm shutters.

Stay Informed: Keep a close eye on the forecasts from reliable sources like the National Hurricane Center (NHC) and your local weather service. Pay attention to watches and warnings – a hurricane watch means hurricane conditions are possible, while a hurricane warning means those conditions are expected. Understand the difference and what actions to take for each.

Evacuation Routes: If you live in an evacuation zone, plan your route before a storm is imminent. Know where you will go – a friend’s or relative’s home inland, a designated public shelter, or a hotel. Have a backup plan in case your primary destination is inaccessible.

Financial Preparedness: Have some cash on hand, as ATMs and credit card machines may not work after a storm. Review your insurance policies to understand your coverage for wind damage, flood damage, and other related losses. Take photos or videos of your property before the storm for insurance purposes.

Practice Makes Perfect: The more you plan and practice your hurricane preparedness, the smoother things will go if a storm ever threatens your area. Don’t wait for the hurricane season to start thinking about this stuff. Being prepared is the ultimate act of self-care and community care. Let’s all stay safe out there, guys!

The National Hurricane Center: Your Go-To for Storm Information

When we’re talking about National Hurricane events, one agency stands head and shoulders above the rest when it comes to providing vital information and guidance: the National Hurricane Center (NHC) . Located in Miami, Florida, the NHC is part of the National Oceanic and Atmospheric Administration (NOAA) and is the official source for tropical cyclone forecasts and warnings for the Atlantic and Northeast Pacific basins. If you’re in a hurricane-prone area, you absolutely need to know about the NHC and how to access their information.

The NHC’s primary mission is to save lives and reduce economic losses by issuing timely and accurate forecasts and warnings for tropical cyclones. They do this through a combination of cutting-edge technology, sophisticated computer models, and the expertise of highly trained meteorologists. Their work is continuous, 24 7 , especially during hurricane season, which officially runs from June 1st to November 30th.

What kind of information does the NHC provide? It’s comprehensive, guys. They issue:

  • Tropical Weather Outlooks: These are issued daily during hurricane season and provide a look at areas of disturbed weather that have the potential to develop into tropical cyclones.
  • Tropical Depression, Tropical Storm, and Hurricane Advisories: Once a storm forms, the NHC issues regular advisories (typically every 3 or 6 hours) that include the storm’s current location, intensity (wind speed, pressure), forecast track, and potential impacts like storm surge and rainfall. These advisories are the backbone of public warnings.
  • Watches and Warnings: Based on the forecast advisories, the NHC issues Hurricane Watches (when hurricane conditions are possible within 48 hours) and Hurricane Warnings (when hurricane conditions are expected within 36 hours). They also issue Storm Surge Watches and Warnings , which are critical for coastal areas.
  • Public Advisories and Discussions: These are written in plain language to help the public understand the threat. The NHC also publishes detailed meteorological discussions that explain the reasoning behind their forecasts.
  • Graphical Products: The NHC website is loaded with maps, including track forecasts, intensity forecasts, wind probability fields, and storm surge inundation maps. These visual aids are incredibly helpful for understanding the potential impact.

It’s crucial to rely on the NHC and official sources for your hurricane information. Social media and unofficial reports can be misleading or inaccurate. The NHC’s website (nhc.noaa.gov) is a treasure trove of data, tools, and educational resources. They provide historical data, storm archives, and safety information. Understanding how to interpret the NHC’s products is a fundamental part of hurricane preparedness. They are the experts working tirelessly to keep us informed and safe from these powerful storms. So, bookmark their site, know their products, and trust their guidance when a National Hurricane threatens.

Living with Hurricanes: Resilience and Recovery

So, we’ve weathered the storm, or at least, we’ve learned extensively about how to prepare for a National Hurricane . But what happens after the winds die down and the rain stops? The journey of resilience and recovery is just as important as the preparation phase. For communities that have been impacted, the aftermath of a hurricane can be long and challenging, but also a testament to human spirit and adaptability.

Immediate Aftermath: In the hours and days following landfall, the focus is on immediate safety and assessment. This includes checking on neighbors, especially the elderly or vulnerable, and reporting any immediate hazards like downed power lines or gas leaks to the appropriate authorities. Emergency responders, often working under extremely difficult conditions, are busy conducting search and rescue operations, clearing debris, and restoring essential services like power and water where possible. The National Hurricane Center continues to monitor the remnants of the storm as it moves inland, providing updates on lingering flood threats.

The Road to Recovery: Recovery is a multi-faceted process. It involves:

  • Infrastructure Repair: Roads, bridges, power grids, water and sewage systems, and communication networks need extensive repairs. This can take weeks, months, or even years depending on the severity of the damage.
  • Housing: Many homes are damaged or destroyed. Providing temporary housing and facilitating the rebuilding of permanent homes are major challenges. This often involves coordinating efforts between government agencies, non-profit organizations, and private contractors.
  • Economic Impact: Businesses are disrupted, jobs are lost, and local economies suffer. Recovery efforts focus on helping businesses reopen, supporting displaced workers, and revitalizing the economy.
  • Mental Health: The trauma of experiencing a destructive hurricane can have lasting psychological effects. Access to mental health services is critical for individuals, families, and entire communities to cope with loss, displacement, and the stress of rebuilding.

Building Resilience: A key aspect of living with hurricanes is not just recovering, but building back stronger and more resilient. This means incorporating lessons learned into future development and planning. Examples include:

  • Stricter Building Codes: Implementing and enforcing more robust building codes designed to withstand higher winds and greater storm surge.
  • Land Use Planning: Rethinking development in high-risk coastal areas and floodplains, potentially relocating structures or creating buffer zones.
  • Infrastructure Hardening: Investing in more resilient infrastructure, such as underground power lines or elevated roads.
  • Early Warning Systems: Continuously improving forecasting and warning systems, like those provided by the National Hurricane Center, and ensuring effective communication and evacuation strategies.
  • Community Engagement: Fostering strong community networks and preparedness programs that empower residents to help each other during and after a storm.

The cycle of hurricanes – from formation to impact to recovery – is a powerful reminder of our relationship with nature. While we can’t stop hurricanes from forming, we can learn to coexist with them by respecting their power, preparing diligently, and committing to building resilient communities. The ongoing efforts of agencies like the NHC, combined with the determination of affected populations, showcase the incredible capacity for recovery and adaptation in the face of nature’s most formidable challenges. It’s a continuous learning process, and staying informed and prepared is the best way to navigate this cycle.